- トップページ >
- 沿線から探す >
- 札幌市東西線土地物件
札幌市東西線土地物件
検索条件
検索条件変更
この検索条件を保存する
|
|
|
|
検索条件該当物件数:3件
会員登録は無料です。今すぐご登録を!→ご登録はこちら
- 土地
- New
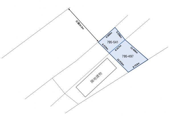
栄通17丁目 土地 土地の物件情報 (1,880万円)
| 価格 | 1,880万円 |
| 所在地 | 札幌市白石区栄通17丁目16丁目795番541、17丁目795番497(住居表示未確定) |
| 交通 | 札幌市東西線「南郷18丁目駅」 徒歩10分 |
| 土地 | 153.59m2(46.46坪) |
- 土地
清田区清田9条3丁目 土地 土地の物件情報 (1,050万円)
| 価格 | 1,050万円 |
| 所在地 | 札幌市清田区清田九条3丁目 |
| 交通 | 札幌市東豊線「福住駅」 バス20分「清田清栄公園」停歩2分 |
| 土地 | 212.34m2(64.23坪) |
- 土地
- New
北郷2条5丁目土地 土地の物件情報 (2,400万円)
| 価格 | 2,400万円 |
| 所在地 | 札幌市白石区北郷二条5丁目 |
| 交通 | JR千歳線「白石駅」 徒歩7分 |
| 土地 | 165.28m2(49.99坪) |
















